Company Logo
Refine Search

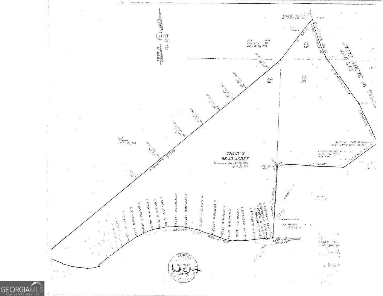
0 Antioch Church Road, Talking Rock, GA 30175

$2,376,550
  • 0 Antioch Church Road, Talking Rock, GA 30175 Main Photo

1 Total Photos [Click to View All]

Active
LOT SIZE 86.420 acres MLS#10567916
STATUSActive PROPERTY TYPELand - Lot/Land NEIGHBORHOODTalking Rock

Property Description

86.42 Acres - Prime Development Land in Talking Rock, GA Zoned Neighborhood/Commercial. Rare opportunity to acquire 86.42 acres of zoned neighborhood land in the rapidly growing area of Pickens County. Located in scenic Talking Rock, this property features a desirable mix of wooded terrain and open farmland-ideal for residential development, a private estate, or multi-generational compound. Strong road frontage provides easy access and visibility. The area is seeing steady growth, making this a smart investment for builders, developers, or land bankers looking to secure prime ground in North Georgia. Minutes to Jasper, Hwy 515, and all the charm of the North Georgia mountains. Don't miss this chance to shape the future of this up-and-coming area. Property is zoned NC. Neighborhood/Commercial

0 Antioch Church Road | MLS# 10567916

This land located at 0 Antioch Church Road, Talking Rock, GA 30175 is currently listed for sale with an asking price of $2,376,550. The property has approximately 86.42 Acres. Search Talking Rock real estate on www.crye-leike.com today.

Property Features

Property Type: Land - Lot/Land
Lot Size: 86.42 Acres
Taxes: $293,612

Feature Descriptions

Days on Site: 272
Sewer: None
Topography: Pasture
Utilities: None
Water: None

Local Schools

High School: Pickens County
Middle School: Jasper
Elementary School: Hill City

Listed By / Shown By

Listed By

Agency Name: BHHS Georgia Properties
Agency Phone: 770-973-8822

Shown By

Agency Title: Crye-Leike Real Estate Services
Agency Phone: 866-253-4666

IDX logo

Source: GAMLS

Estimate Your Payment

Estimated Payment

$ 30,450.00 per month $5,289.17 Principal & Interest $24,467.67 Property Tax $693.16 Homeowner's Insurance

Change Payment Information

%
years/fixed
yearly
yearly (est.)
(Payments are an estimate and may vary by lender)

Login to My Homefinder

Pixel