Company Logo
Refine Search

00 St Highway 20, Freeport, FL 32439

$395,000
  • 00 St Highway 20, Freeport, FL 32439 Main Photo

7 Total Photos [Click to View All]

New to the Market Active
MLS#1000652
STATUSActive PROPERTY TYPECommercial - Business NEIGHBORHOOD20 - Freeport

Property Description

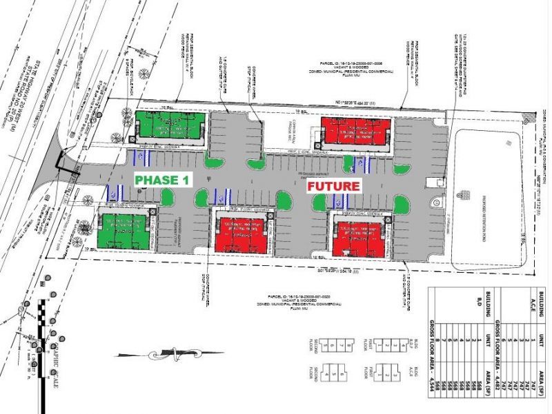
Corporate Woods offers Class-A medical and professional office suites for lease or sale along Hwy 20 in Freeport, serving the North Bay, South Walton, and 30A markets. The five-building campus features elevator-served two-story buildings with 747 SF and 568 SF suites. Opportunities available for lease or purchase by the unit, full floor, or entire building, allowing maximum flexibility for users and investors. Delivered as grey shell, ideal for medical, dental, therapy, legal, financial, and professional uses. The site plan provides 102 parking spaces, creating a functional medical-capable campus with strong visibility and access. Phase 1 delivering first two buildings in late 2026 or early 2027, with three more at a future date. Corporate Woods represents a first-of-its-kind office product for the Freeport and greater South Walton corridor--a purpose-built, small-bay medical and professional condominium campus designed to meet a growing but underserved segment of the market.While South Walton and 30A have historically commanded premium pricing for limited office inventory, the market has lacked scalable, ownership-oriented space for medical and professional users seeking proximity without coastal pricing constraints. Corporate Woods fills this gap by delivering a Class-A environment with flexible configurations, allowing users to acquire space by unit, floor, or entire building.This missing middle product--bridging large, institutional office space and smaller, less functional units--positions Corporate Woods as a foundational development in the corridor's evolution. As Freeport continues to absorb growth from South Walton, the project is poised to establish pricing benchmarks and serve as a model for future professional development.With limited competing supply and increasing demand from medical, dental, and service-oriented users, Corporate Woods offers early participants the opportunity to enter a developing submarket at a formative stage, capturing both operational utility and long-term value appreciation.

00 St Highway 20 | MLS# 1000652

This commercial property located at 00 St Highway 20, Freeport, FL 32439 is currently listed for sale with an asking price of $395,000. Search 20 - Freeport real estate on www.crye-leike.com today.

Property Features

Property Type: Commercial - Business
Lot Size: 2.17 Acres

Feature Descriptions

Parcel Number: 16-1S-19-23000-001-0002
Property Condition: Under Construction

Listed By / Shown By

Listed By

Agency Name: Century 21 AllPoints Realty

Shown By

Agency Title: Crye-Leike Real Estate Services
Agency Phone: 866-253-4666

IDX logo

Source: Emerald Coast MLS

Login to My Homefinder

Pixel