Company Logo

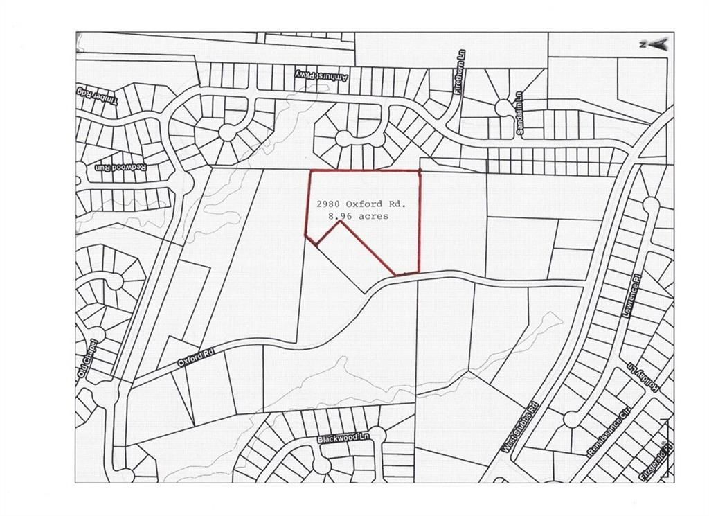
2980 Oxford Road, South Fulton, GA 30349

$199,900
  • 2980 Oxford Road, South Fulton, GA 30349 Main Photo

4 Total Photos [Click to View All]

Active
LOT SIZE 8.960 acres MLS#7436417
STATUS PROPERTY TYPELand - Residential SCHOOLStonewall Tell - Langston Hughes

Property Description

O W N E R F I N A N C I N G for qualified buyer. 8.96 acres located on a well maintained gravel road in a very nice area of South Fulton. Oxford Road is a short, dead end road surrounded by upscale subdivisions. Wooded, rolling land. Great place to build a home and raise a family. Nice, private neighborhood. The back portion of the property looks like you're in the North Georgia mountains.

2980 Oxford Road | MLS# 7436417

This land located at 2980 Oxford Road, South Fulton, GA 30349 is currently listed for sale with an asking price of $199,900. The property has approximately 8.96 Acres. Oxford Road is located within the Stonewall Tell - Langston Hughes school district. Search South Fulton real estate on www.crye-leike.com today.

Property Features

Property Type: Land - Residential
Lot Size: 8.96 Acres
Taxes: $2,950

Feature Descriptions

Days on Site: 627
Lot: Rolling Slope, Stream or River On Lot
Lot Dimensions: 623x738
Road Frontage: County Road
Road Surface: Gravel
Utilities: Cable Available, Electricity Available, Water Available
Vegetation: Wooded

Local Schools

High School: Langston Hughes
Middle School: Sandtown
Elementary School: Stonewall Tell
School District: Stonewall Tell - Langston Hughes

Listed By / Shown By

Listed By

Agency Name: Chapman Hall Realtors
Agency Phone: 404-252-9500

Shown By

Agency Title: Crye-Leike Real Estate Services
Agency Phone: 866-253-4666

IDX logo

Source: FMLS

Estimate Your Payment

Estimated Payment

$ 749.03 per month $444.89 Principal & Interest $245.83 Property Tax $58.30 Homeowner's Insurance

Change Payment Information

%
years/fixed
yearly
yearly (est.)
(Payments are an estimate and may vary by lender)

Login to My Homefinder

Pixel