Company Logo
Refine Search

584 Standing Stone Highway, Hilham, TN 38568

$103,000
  • 584 Standing Stone Highway, Hilham, TN 38568 Main Photo

1 Total Photos [Click to View All]

New to the Market AC - Back Up Offers
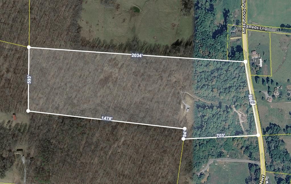
LOT SIZE 32.010 acres MLS#243816
STATUSAC - Back Up Offers PROPERTY TYPELand - Farm SUBDIVISIONNone NEIGHBORHOODOverton Co NW TN

Property Description

32.01 unrestricted acres with a partially finished tiny home, solar panels, outbuilding, woodshed, and a gravel drive in. There are options for future building sites with tons of wildlife. Selling structures as is. Property is occupied - please

584 Standing Stone Highway | MLS# 243816

This land located at 584 Standing Stone Highway, Hilham, TN 38568 is currently listed for sale with an asking price of $103,000. The property has approximately 32.01 Acres. Search Overton Co Nw Tn real estate on www.crye-leike.com today.

Property Features

Property Type: Land - Farm
Lot Size: 32.01 Acres
Taxes: $663

Feature Descriptions

Additional Structures: Outbuilding
Days on Site: 1
Electric on Property: 1
Lot Dimensions: 969 x 2034
Parcel #: 051 020.06
Possible Use: Other
Road Surface: Paved
Sewer: Septic Needed
Structures: Outbuilding
Topography: Level, Slopes Above Road
Utilities: Electricity Available, Natural Gas Not Available, Water Available, Water Connected, Sewer Available
Water: Other, City

Listed By / Shown By

Listed By

Agency Name: Skender-Newton Realty
Agency Contact: 9312619001

Shown By

Agency Title: Crye-Leike Real Estate Services
Agency Phone: 866-253-4666

IDX logo

Source: Upper Cumberland MLS

Estimate Your Payment

Estimated Payment

$ 314.53 per month $229.23 Principal & Interest $55.25 Property Tax $30.04 Homeowner's Insurance

Change Payment Information

%
years/fixed
yearly
yearly (est.)
(Payments are an estimate and may vary by lender)

Login to My Homefinder

Pixel