Company Logo

O00 Terrace Terrace, Chattanooga, TN 37409

$20,000
  • O00 Terrace Terrace, Chattanooga, TN 37409 Main Photo

3 Total Photos [Click to View All]

New to the Market Active
LOT SIZE 0.250 acres MLS#1533445
STATUSActive PROPERTY TYPELand - Residential SUBDIVISIONSt Elmo NEIGHBORHOODChattanooga

Property Description

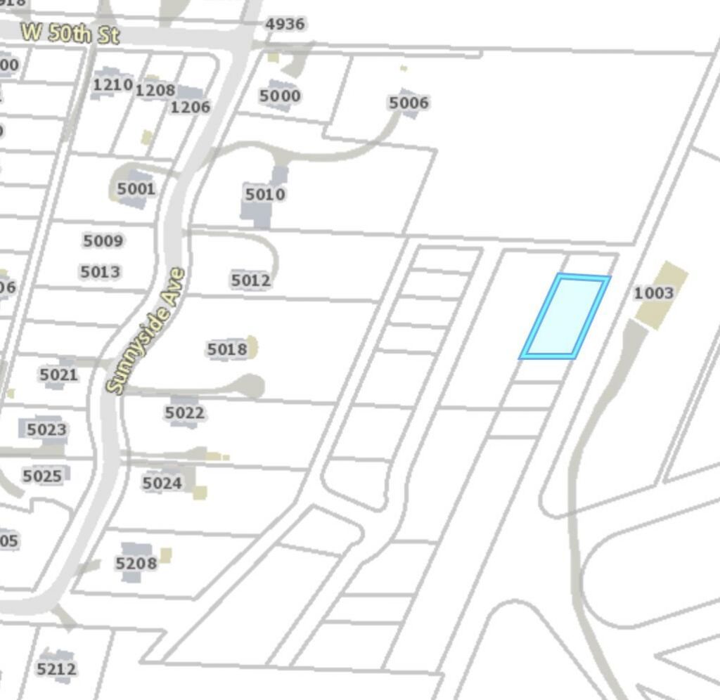
St Elmo residential land for sale.25 of an acre located just above Sunnyside Avenue in St Elmo with no street access currently beyond West 53rd Street. With unobstructed views of Lookout Mountain and a backyard of Hawkins Ridge, this property is rare and available today. Whether you're looking to increase your land portfolio or contemplating a future development project, consider this opportunity to buy raw land in St. Elmo.Seller has no personal knowledge of the property and makes no representations or warranties regarding its condition, buildability, or availability of utilities. Buyer to perform their own due diligence.

O00 Terrace Terrace | MLS# 1533445

This land located at O00 Terrace Terrace, Chattanooga, TN 37409 is currently listed for sale with an asking price of $20,000. The property has approximately 0.25 Acres. Search Chattanooga real estate on www.crye-leike.com today.

Property Features

Property Type: Land - Residential
Lot Size: 0.25 Acres
Taxes: $38

Feature Descriptions

Common Amenities: None
Days on Site: 1
Exterior Amenities: None
Lot: Many Trees, Sloped, Views, Wooded
Lot Dimensions: 128.67X90
Parcel #: 167j S 019
Special View Info: Mountain(s), Trees/Woods
Wooded: Yes

Local Schools

High School: Lookout Valley High
Middle School: Lookout Valley Middle
Elementary School: Calvin Donaldson Elementary

Listed By / Shown By

Listed By

Agency Name: Zach Taylor - Chattanooga
Agency Phone: 855-261-2233

Shown By

Agency Title: Crye-Leike Real Estate Services
Agency Phone: 866-253-4666

IDX logo

Source: CARMLS

Estimate Your Payment

Estimated Payment

$ 53.51 per month $44.51 Principal & Interest $3.17 Property Tax $5.83 Homeowner's Insurance

Change Payment Information

%
years/fixed
yearly
yearly (est.)
(Payments are an estimate and may vary by lender)

Login to My Homefinder

Pixel